
1、超强台风海神(英语:Super Typhoon Haishen,国际编号:2010,联合台风警报中心:11W,菲律宾大气地球物理和天文管理局:Kristine),为2020年太平洋台风季第10个被命名的风暴。“海神”一名由中国提供,意为神话中的大海之神。
2、台风“海神”已于2020年9月7日7时30分前后在韩国庆尚南道沿海登陆,登陆时中心最大风力有13级(40m/s)。
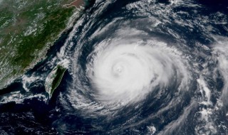
3、今年第10号台风“海神”已于今天(7日)早晨5点钟由强台风级减弱为台风级,其中心位于朝鲜海峡,中心附近最大风力有13级(40米/秒),中心最低气压为955百帕,七级风圈半径300-350公里,十级风圈半径100公里,十二级风圈半径40公里。





