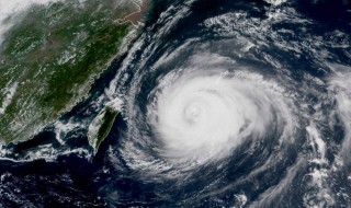
巴威是谁起的名字 台风巴威名字由来

生活常识2022-03-13 06:46:08未知

巴威是谁起的名字 台风巴威名字由来

1、“巴威”是越南提供的10个名字之一,意为越南北部一山名。

2、为避免台风名称的混乱,1997年11月25日-12月1日,有关国家和地区在香港举行的世界气象组织(简称WMO)台风委员会第30次会议上决定规范台风的命名,其中,西北太平洋和南海的热带气旋,采用具有亚洲风格的名字命名,其命名方法是:事先制定一个命名表,然后按照顺序年复一年地循环重复使用。该命名表共140个名字,由WMO所属的亚太地区的14个成员国和地区提供。

本文标签: 巴威是谁起的名字  

相关推荐

猜你喜欢

大家正在看