
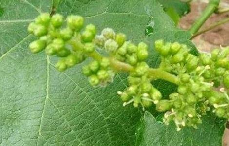
葡萄的花序的好坏和多少,直接影响到葡萄的后期产量和品质,很多果园普遍出现花序少、花序小的现象,尤其是促早栽培果树,甚至出现无花序的问题。那么是什么原因造成的?该如何解决和补救呢?下面和小编一起来看看吧。

一、原因
1、光照原因
光照对于葡萄的花芽分化影响比较大,光照分为长日照和短日照,如果葡萄留枝密度过大的果园,会因为采光不足会导致其第二年花序少或者无花序。
2、养分原因
葡萄在花芽分化其、新生生长期、开花坐果期、果实膨大期重叠,而这几个时期都是需要消耗大量的养分的,如果新梢生长和果实发育在养分竞争占据优势,而花芽分化和花序处于劣势,就会导致冬鸭营养不良而影响到花芽分化,所以花序少。

3、果园管理
不施基肥或者基肥施用不足,果树挂果量过大,过量的使用氮肥,忽视有机肥,病虫害防治不利这些营养都会导致树体营养储备不足、养分大量的消化、根系吸收养分困难,都会造成果树花序萎缩、退化,甚至出现第二年无花序、新梢多的情况。
4、过早抹芽
在大棚栽培是,如果提前封棚升温,会导致葡萄在花芽分化是冷量不足,影响到花芽分化,或者抹芽破眠过早,导致花芽至花序期遭受冻害,新生部位受损。

二、补救措施
对于萌芽少、花序少的果树,要及时补充有益,可以在根部平衡型水溶肥5公斤,配合生物刺激剂,可以通过根系的吸收能力,同时搭配叶面喷肥,可以使得果树快速补充营养,尽快提高树势。也可以在新梢生长出10片叶片以上时,对于果树采取摘心措施抑制果树营养生长,并保留心下的2个夏芽副梢,延缓冬芽萌芽,促进花序分化。对于没有花序的春梢可以提前摘心打顶,并合理的增施有机肥和微量元素,促进春梢老熟,直至副梢萌发,利用副梢形成花序,培育第二批花果。

以上是葡萄花序小该怎么办介绍,希望能帮助到你,想了解更多的相关知识,敬请关注我们。
部分专业知识转自网络





